Notigape

Astronauta comparte fotografías de "Irma"

Por: Staff NotiGape
10/09/2017 08:40
Astronauta comparte fotografías de "Irma"

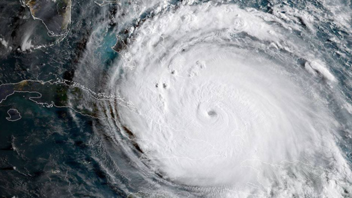
A través de la cuenta de Twitter de un astronauta de la NASA que se encuentra en la Estación Espacial Internacional (EEI), llamado Randy Bresnik (@AstroKomrade), este subió una serie de fotografías del huracán “Irma” desde como se ve este fenómeno, ahora degradado a categoría 3.

WING STOP