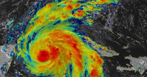
Florida en alerta por huracán "Ian" en categoría 3
Este martes el huracán "Ian" tocó tierra en Cuba con vientos de 205 kilometros por hora, se prevé que mantega su fuerza mientras cruce la mayor de las Antillas y se reforzará cuando emerja en el Golfo de México como una importante amenaza para Florida, en forma de marejadas ciclónicas, viento, lluvias y tornados.