Retiran queso cottage contaminado de Kraft Foods
La empresa Kraft Foods decidó retirar 1.2 millones de cajas de cuatro variedades diferentes de queso cottage ante la posible presencia de plástico y metal.
La empresa Kraft Foods decidó retirar 1.2 millones de cajas de cuatro variedades diferentes de queso cottage ante la posible presencia de plástico y metal.
Tras el tiroteo ocurrido el pasado 3 de agosto en un Walmart de El Paso, Texas en donde perdieron la vida 8 mexicanos y 8 más resultaron heridos, 10 connacionales demandaron la empresa por no contar con las medidas necesarias para garantizar la seguridad de sus clientes.
Fallece el médico Fritz von Weizsäcker, hijo del expresidente alemán Richard von Weizsäcker, tras ser apuñalado cuando ofrecía una conferencia en un hospital de Berlín.
Con motivo del Aniversario de la Revolución Mexicana, el presidente de Venezuela Nicolás Maduro envió un saludo a su homologo mexicano Andrés Manuel López Obrador a través de su cuenta oficial de Twitter.
Una pareja de veganos ha sido detenida debido a que es acusada de “matar de hambre” a su pequeño bebé.
El expresidente boliviano denunció en conferencia de prensa en la Ciudad de México que más de 30 personas han sido asesinadas, más de 100 han sufrido heridas y mil han sido detenidas en Bolivia desde que él renunció a la Presidencia de ese país.
Emma Coronel, ya tuvo participación en el reality show “Cartel Crew” del canal VH1, en donde declaró que, “la mayor parte del tiempo posible trato de ser positiva y no engancharme en lo que ya pasó, ya no podemos hacer nada”
Se registró un sismo de 5,8 grados de magnitud en el centro de Argentina sin que se produjeran víctimas ni daños materiales.
La Cancillería de Bolivia anunció que Evaliz Morales y Maria Inosenta Poñe Poichee ,exasambleísta indígena, recibirán los salvoconductos.
Este miércoles el líder de la iglesia católica inició su visita de tres días a Tailandia, como parte de su trigésimo segundo viaje internacional, en el que visitará también Japón del 23 al 26 de este mes.
En Pensilvania, Estados Unidos un hombre admitió haber llevado a su novia a la ciudad de Las Vegas en unas supuestas vacaciones solamente para matarla y después robar su identidad en redes sociales por más de dos meses.
Este martes el presidente estadounidense Donald Trump, acusó a la presidenta de la Cámara de Representantes, la demócrata Nancy Pelosi, de retrasar la votación sobre el Tratado México, Estados Unidos y Comercial, T-MEC, para conseguir apoyo a su investigación de juicio político.
Si eres amante de los viajes y tu sueño es ir a Japón, pero te preocupan los altos costos, este hotel puede tener una opción ideal para ti, siempre y cyando estes dispuesto a sacrificar un poco de la privacidad.
A partir del 22 de noviembre, el gobierno de Cuba restablecera las 43 rutas de autobuses nacionales y la cobertura a todos los destinos como antes de la reducción aplicada en los últimos dos meses, tras la grave crisis de combustible que atravesaba la isla.
Dos hombres en Rusia perdieron la vida luego de su que automóvil cayera accidentalmente en un socavón lleno de agua hirviendo que se abrió en la ciudad de Penza.
Este marte se registró un fuerte sismo de 6.3 de magnitd, en la provincia de mendoza, Argentina.
Este martes, la policía de Holanda encontró a 25 personas ocultas en un contenedor frigorífico de un barco, el cual salió del puerto de Vlaardingen con rumbo al Reino Unido.
Los integrantes de la familia LeBarón prepara una caravana desde la comunidad de La Mora hacia Washington, D.C. en Estados Unidos para buscar una reunión con el mandatario Donald Trump.
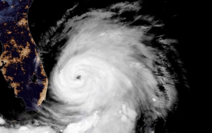
Este martes se formó en el Atlántico la tormenta tropical “Sebastien”, sin embargo, se espera que permanezca en aguas abiertas.
El presidente de Estados Unidos, aseguró que se encuentra planteándose seriamente sobre la posibilidad de testificar ante el Congreso en el marco de las investigaciones para un posible juicio político contra él.
La fiscalía sueca anunció el cierre de la investigación preliminar por violación que se habría producido en 2010, contra Julian Assange, fundador del portal WikiLeaks por el debilitamiento de las evidencias y la falta de base para una acusación.
Esta semana, considerada como la más crucial en el juicio político que se realiza en la Cámara de Representantes de los Estados Unidos, en contra del presidente, Donald Trump.
Tras las protestas violentas que se han registrado en Irán, han dejado al menos 90 muertos, miles de herdos y cientos de manifestantes, en el quinto día en rechazo al alza del precio de la gasolina.
Al menos 15 personas murieron y otras nueve resultaron heridas tras una explosión de gas registrada en una mina de carbón en la provincia china de Shanxi, en el norte del país, informaron fuentes oficiales.