Nacional
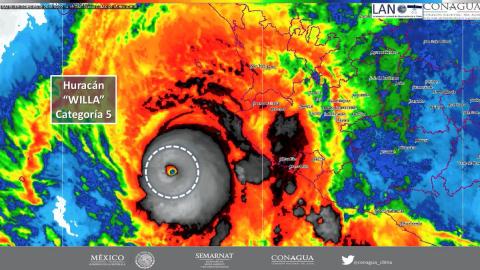
Jalisco se prepara para embate de “Willa”
El gobernador de Jalisco, Aristóteles Sandoval, dijo en entrevista que la entidad está lista para hacer frente al probable embate del huracán “Willa” categoría 5, además de que los municipios de la costa sur del estado, hasta Cabo Corrientes, ya está alertada, para el momento en que se ordene el desalojo.