El mar se fue con la llegada de Irma
En su paso, el poderoso huracán absorbió el agua del mar en distintos puntos de Florida (Naples, Tampa y Key Largo), así como en Bahamas.
En su paso, el poderoso huracán absorbió el agua del mar en distintos puntos de Florida (Naples, Tampa y Key Largo), así como en Bahamas.
El huracán Irma se degradó este lunes a categoría 1 al norte de Tampa, mientras seguía azotando la costa oeste de Florida dejando calles inundadas, 3.3 millones de familias y negocios sin energía y arrancando árboles de cuajo.
El huracán Irma se degradó a categoría 2, y se ubica cerca de Naples, al oeste de Florida.
El día de hoy, el Papa Francisco sufrió de un pequeño golpe en la ceja y el pómulo izquierdo en el barrio de San Francisco, en la ciudad colombina de Cartagena de Indias, esto al intentar saludar a un niño cuando iba en el papamóvil.
Por medio de la página oficial de Twitter, el Servicio Meteorológico Nacional (@conagua_clima) dio a conocer que el huracán “Irma” se degradó a categoría 3.
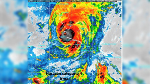
El huracán Irma de categoría 4, tocó el día de hoy tierra en los Cayos, Florida, con vientos sostenidos 215 kilómetros por hora, así lo dio a conocer el Centro Nacional de Huracanes de Estados Unidos.
Hasta nueve metros se prevé que alcancen las olas este sábado por la noche en La Habana, capital del país y la ciudad más poblada de Cuba, advirtieron expertos de meteorología.
Ante la inminente llegada del huracán ‘Irma’ a Florida, lugar donde se sentirá un golpe directo por parte del ciclón las autoridades ya se encuentran evacuando a los ciudadanos.
Está tarde Luis Almagro, secretario general de la Organización de Estados Americanos (OEA), mostro su apoyo partidario de aplicar y endurecer las sanciones en Venezuela, para poder conseguir la restauración democrática en aquel país.
De acuerdo con la información dada por el Centro Nacional de Huracanes (NHC, por sus siglas en inglés), el poderoso huracán ‘Irma’ continua perdiendo fuerza pues su nivel se degrado a nivel 3.
Esta mañana Egipto, anunció el hallazgo de una tumba en la ciudad sureña de Luxor, la cual data de la época faraónica y perteneció a un orfebre que vivió hace más de 3,500 años, durante la 18va dinastía.
Luego de su paso por el norte de Cuba, el poderoso huracán ‘Irma’ se debilitó ligeramente pasando de ser categoría 5 a 4 siguiendo su paso en dirección a Florida, Estados Unidos, lugar donde por precaución y para evitar muertes se tuvo que comenzar con la evacuación de miles de ciudadanos, pues el fenómeno meteorológico fue motivo por el cual 21 personas perdieron la vida.
Esta tarde el secretario del Tesoro de Estados Unidos, Wilbur Ross, volvió a expresar la posible amenaza de que su país deje el Tratado de Libre Comercio de América del Norte (TLCAN), en caso de que las negociaciones no favorezcan a su país.
El huracán José, que hasta este viernes se desplaza por el Océano Atlántico, alcanzó vientos de 241 kilómetros por hora, por lo que se ha convertido en categoría 4, siendo “un huracán extremadamente peligroso”, así lo indicó el Centro Nacional de Huracanes (NHC).
Durante su estadía en Colombia, el papa Francisco expresó su solidaridad con el pueblo de México después de haber sido sacudido por un sismo de 8.2 en escala Richter, que dejó un saldo de 38 muertos y 200 heridos.
El presidente de los Estados Unidos, Donald Trump dijo este viernes que el huracán Irma, de categoría 4, cuenta con un fuerte potencial destructivo, por lo que hizo un llamado a los habitantes de aquel país a seguir estrictamente las indicaciones de las autoridades.
El presidente de Colombia, Juan Manuel Santos, se solidarizó con México, tras el sismo de 8.2 grados que se registró la noche de este jueves, cuyo epicentro tuvo lugar en Chiapas.
Debido a la decisión del presidente de los Estados Unidos, Donald Trump, de cancelar el programa Acción Diferida para los Llegados en la Infancia (DACA, por sus siglas en inglés), maestros y alumnos de la Universidad de Harvard, protestaron, obstruyendo de esta forma la vialidad, por lo que alrededor de 30 fueron detenidos.
El Sumo Pontífice en Bogotá este jueves se reunió con el Presidente Santos en la Casa de Nariño; bendijo a los fieles desde el balcón del Palacio Cardenalicio y ofreció una misa en el Parque Simón Bolívar ante más de un millón de feligreses.
Rick Scott, gobernador de Florida, Estados Unidos pidió a los residentes de Florida a seguir las indicaciones de evacuar el área y tomar en serio instrucciones que se presenten durante el paso del huracán Irma.
El poderoso huracán ‘Irma’ de categoría cinco se está desplazando hacia el oeste-noroeste frente a la costa norte de Republica Dominicana.
Luego de que en redes sociales se difundiera un video en el que una pareja le ofrece alcohol, droga y cigarros a su hija de tres años, autoridades argentinas procedieron a detenerlos.
Hace unos momentos el Centro Nacional de Huracanes de EU (NHC, por sus siglas en inglés), informó que el huracán ‘José’ alcanzó la categoría 3 de un máximo de 5, lo que hace que este sea el tercero más poderoso que se ha formado en está temporada de tormentas.
El inmenso poder con el que cuenta el huracán ‘Irma’ ha hecho que el fenómeno meteorológico aparezca hasta en los equipos que están hechos para detectar terremotos, informó portal británico The Independent.