Sube José a categoría 2
Mientras continúa desplazándose sobre el Atlántico, el huracán ‘José’ subió a categoría 2, informó el Centro Nacional de Huracanes de Estados Unidos.
Mientras continúa desplazándose sobre el Atlántico, el huracán ‘José’ subió a categoría 2, informó el Centro Nacional de Huracanes de Estados Unidos.
En su paso por el Caribe, el huracán ‘Irma’, dejó ocho muertos en la isla San Martín, además de la devastación que dejó en otros territorios este jueves, mientras avanza hacia el estado de Florida, Estados Unidos.
El presidente de los Estados Unidos, Donald Trump, dijo que los protegidos por el programa DACA no tienen que preocuparse por su estatus de inmigración durante los próximos 6 meses.
Los residentes de Florida han dejado vacíos los anaqueles de supermercados y ferreterías para prepararse ante la inminente llegada del Huracán Irma a tierras norteamericanas.
Este jueves el Papa Francisco se reunirá con una delegación de jerarcas de la iglesia católica de Venezuela, en un evento que no estaba previsto en la agenda de su actual viaje a Colombia.
Lugo de que el huracán ‘Irma’ azotara a Barbuda, este siguió su camino hasta llegar a Puerto Rico, dejando a más 900,000 ciudadanos sin los servicios básicos como agua limpia y luz, además de que al momento de su llegada las autoridades puertorriqueñas se encontraban brindando ayuda a sus vecinos.
Al ser Irma un huracán de categoría 5 y ubicarse en el Caribe, según medios locales, al menos tres muertos sería el saldo del fenómeno natural tras su paso por la zona, así como el 90 por ciento de la isla destruida.
El Papa Francisco, aterrizó este miércoles en la ciudad de Bogotá, Colombia, alrededor de las 16:30 horas, para realizar una visita por cuatro ciudades de aquel país.
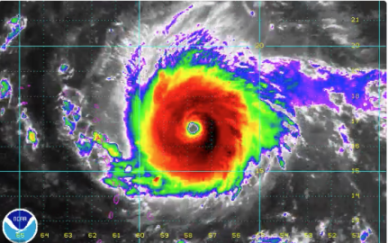
De acuerdo a informaciónn del Centro Nacional de Huracanes de Estados Unidos, este miércoles se formó un nuevo huracán, el cual ha sido denominado como ‘José’.
Está tarde un mexicano de nombre Martín Batalla Vidal, presentó una demanda en contra del presidente de Estados Unidos, Donald Trump, luego de que este pusiera fin al programa DACA.
Un monto de 7.85 mil millones de dólares fue aprobado por la Cámara de Representantes de Estados Unidos, en apoyo a los damnificados por el huracán Harvey, esperando la aprobación del Senado norteamericano.
Agentes de la policía francesa detuvieron este miércoles a dos hombres en las afueras de París sospechosos de fabricar explosivos para cometer un atentado, reportaron medios locales.
Debido a la fuerza del huracán “Irma”, se estima que unos 70 mil turistas y residentes de los cayos de Florida y un archipiélago de unas mil 700 islas en un área de 356 kilómetros cuadrados, tendrán que evacuar este miércoles, así lo dieron a conocer autoridades estadounidenses.
El papa Francisco deseó este miércoles que se cree "diálogo" en Venezuela y que el país "encuentre una buena estabilidad" durante el vuelo en el que viaja a Colombia.
El fenómeno metereológico, que alcanzó su mayor categoría, ha tocado tierra en esta madrugada según el Servicio Nacional Metereológico de Estados Unidos.
Al oeste del huracán Irma se ha formado la tormenta tropical José, con dirección a la isla de Antigua y posibilidad de llegar a Estados Unidos como una tormenta potente y peligrosa, tras el paso del huracán Harvey y el posible impacto de Irma.
Con la llegada de Hervey a Texas, Estados Unidos, la construcción del muro propuesto Donald Trump, cuenta con un nuevo problema ya que ahora deberá lidiar con las secuelas de un huracán que dejó al estado bajo el agua, miles de personas sin hogar y una inversión de miles de millones de dólares tan solo en reconstrucción.
Está tarde el mandatario de Estados Unidos, Barack Obama, lamentó la decisión de su sucesor Donald Trump, quien el día de hoy puso fin al famoso programa DACA creado por Obama, el cual protegía a más de 800 mil jóvenes estudiantes de la deportación, pues estos llegaron ilegalmente a EU desde su infancia.
Cientos de dreamers se manifestaron a las afueras de la Casa Blanca en Estados Unidos después de la anulación a los beneficiarios del Acta de Acción Diferida para los llegados en la infancia (DACA).
Este martes el huracán Irma se convirtió en categoría 5 con vientos de hasta 281 kilómetros por hora.
Por medio de su cuenta oficial de Twitter, el presidente de Estados Unidos, Donald Trump (@realDonaldTrump), escribió “Voy a permitir a Japón y a Corea del Sur comprar una cantidad sustancialmente mayor de equipos militares altamente sofisticados de Estados Unidos”.
Este martes Corea del Norte dio a conocer recientemente había enviado un "paquete de regalo" a Estados Unidos y que habría más en el futuro.
Jeff Sessions, secretario de Justicia, dio a conocer el día de hoy en conferencia de prensa que la Acción Diferida para los Llegados en la Infancia (DACA, por sus siglas en inglés), fue anulada pero con un retraso de seis meses, el cual protegía el futuro de más de 800.000 jóvenes de la deportación, conocidos como los "dreamers" o "soñadores”.