Rosa se degrada a huracán categoría 3

Nacional / Nacional / Por: Staff NotiGape

Publicado: 28 de septiembre, 2018 | 7:18 PM

Rosa se degrada a huracán categoría 3

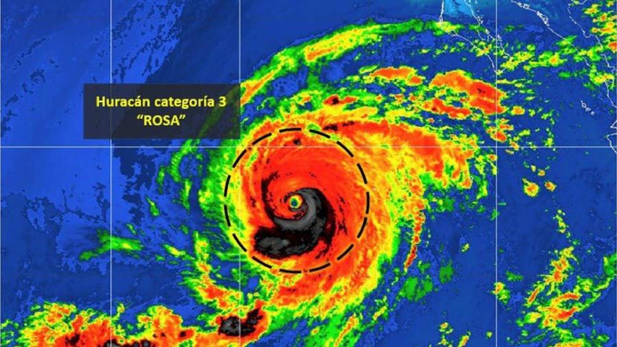
El huracán Rosa se degrado este viernes a huracán categoría 3, según reportes del coordinador del Servicio Meteorológico Nacional, Alberto Hernández Unzón.

En su cuenta de Twitter, el funcionario del SMN detalló que “Rosa” se ubica a mil 5 km al suroeste de Cabo San Lucas, Baja California Sur, con vientos de 195 kilómetros por hora y rachas de 240 km/hr.

De acuerdo con Unzón, “Rosa” se comienza a disminuir a medida que avanza hacia costas mexicanas.

UANE